โครงการปลูกหญ้าแฝกในโรงเรียน ปี 2547 > สำนักงานพัฒนาที่ดินเขต 8 (จ.พิษณุโลก) > สถานีพัฒนาที่ดินพิจิตร>

โครงการปลูกหญ้าแฝกในโรงเรียน ปี 2547
สถานีพัฒนาที่ดินพิจิตร

 

โรงเรียนคลองทรายใหญ่

โรงเรียนคลองทรายใหญ่
หมู่ ตำบลหนองหญ้าไทร
กิ่งอำเภอสากเหล็ก จังหวัดพิจิตร
รหัสไปรษณีย์

โทร.
E-mail : -

อาจารย์ผู้รับผิดชอบ : จ่าโทสุดเขต สวยสม
ตำแหน่ง อาจารย์ใหญ่


พันธุ์ศรีลังกา

พันธุ์หญ้าแฝกที่ปลูก

1. พันธุ์ศรีลังกา จำนวน 5,000 กล้า


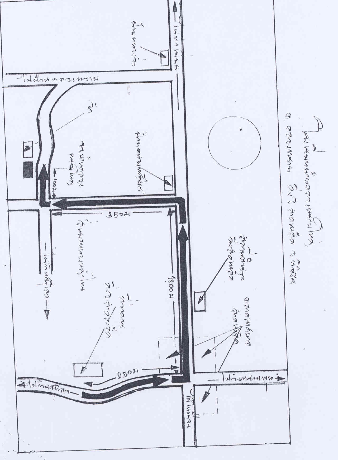
แผนที่ตั้งโรงเรียน
<Click ที่ภาพเพื่อดูภาพใหญ่>

แฝก
ราคาจำหน่ายต้นกล้า : ............... บาท

 

arrow_yellow.gif