โครงการปลูกหญ้าแฝกในโรงเรียน ปี 2547 > สำนักงานพัฒนาที่ดินเขต 8 (จ.พิษณุโลก) > สถานีพัฒนาที่ดินอุตรดิตถ์>

โครงการปลูกหญ้าแฝกในโรงเรียน ปี 2547
สถานีพัฒนาที่ดินอุตรดิตถ์

 

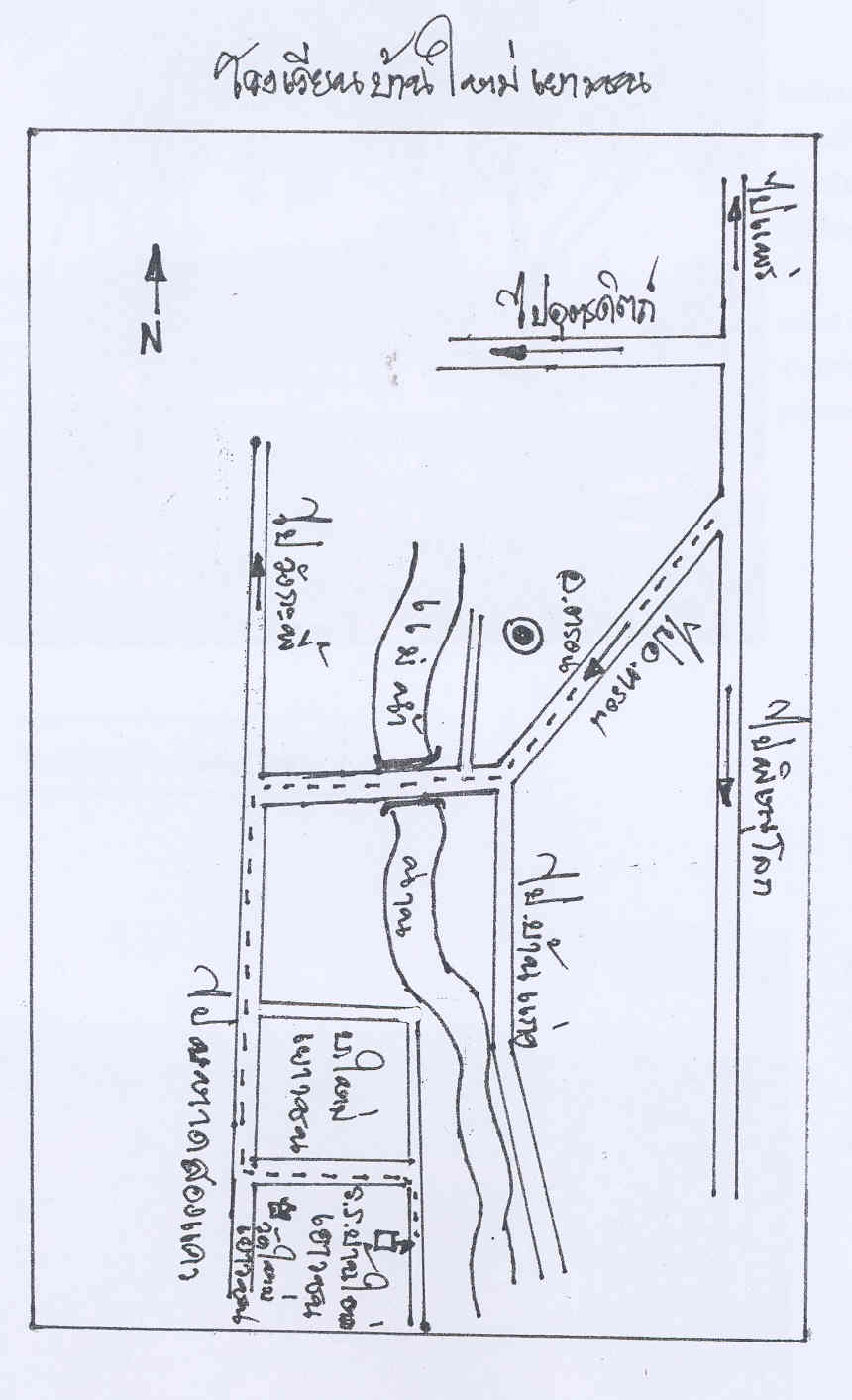
โรงเรียนบ้านใหม่เยาวชน

โรงเรียนบ้านใหม่เยาวชน
หมู่ ตำบลวังแดง
อำเภอตรอน จังหวัดอุตรดิตถ์
รหัสไปรษณีย์

โทร.
E-mail : -

อาจารย์ผู้รับผิดชอบ : วีระชัย คงได้ดี
ตำแหน่ง อาจารย์ 2 ระดับ 7


พันธุ์ศรีลังกา

พันธุ์หญ้าแฝกที่ปลูก

1. พันธุ์ศรีลังกา จำนวน 5,000 กล้า


แผนที่ตั้งโรงเรียน
<Click ที่ภาพเพื่อดูภาพใหญ่>

แฝก
ราคาจำหน่ายต้นกล้า : ............... บาท

 

arrow_yellow.gif